卡努恐變強颱!陸警時間出爐 「北部1縣市」將達颱風假標準
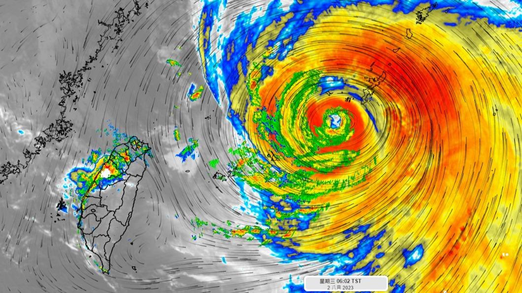
2023年08月02日中颱「卡努」目前持續朝西北方向台灣靠近,中央氣象局1日發布海警,預計今天(2日)晚間發布陸上颱風警報。中央災變中心1日舉行第一次工作會報,氣象局指出,卡努逐漸增強,不排除有成為強颱的可能性,且北部、東北部地區首當其衝,預計週四、週五(3、4日)颱風最接近台灣。天氣風險公司表示,依預估風力資料,研判新北市週四可達停班課標準。

▼中央災變中心1日晚間舉行第一次工作會報,氣象局指出,目前卡努位於琉球東南方海面,有逐漸增強趨勢,不排除增強成強颱,預計2日晚間10點30分發布陸上颱風警報, 3、4 日颱風最接近台灣,且受颱風外圍環流影響,北部及東半部海面風力逐漸增強,北部、東半部及恆春半島沿海浪高將增至3米以上。

▼新北市府1日晚間舉行卡努颱風第一次工作會報,天氣風險公司總經理彭啟明表示,新北市2日起風雨增強,預計3日是風雨最大的時候,屆時市區陣風7至8級、郊區7至10級,浪高有5到7米;雨量預測方面,4天累積雨量,新北南區約250到380毫米、東區240到370毫米、北區230到370毫米、西區約150到270毫米。


彭啟明分析,新北市週四當天可能達到停班停課標準,但確切狀況視2日資料再行判斷。
來源:網路資料